jueves, abril 16, 2026
  • Login
Poder & Crítica
  • ESTADOS
    • CDMX
    • CAMPECHE
    • QUINTANA ROO
    • TABASCO
    • VERACRUZ
    • YUCATÁN
  • NACIONAL
  • INTERNACIONAL
  • POLÍTICA
  • DEPORTES
  • CULTURAL
  • ESPECTACULOS
  • INTERESES
  • REVISTA
  • PERIÓDICO
    • CDMX
    • Quintana Roo
    • Tabasco
    • Yucatán
No Result
View All Result
  • ESTADOS
    • CDMX
    • CAMPECHE
    • QUINTANA ROO
    • TABASCO
    • VERACRUZ
    • YUCATÁN
  • NACIONAL
  • INTERNACIONAL
  • POLÍTICA
  • DEPORTES
  • CULTURAL
  • ESPECTACULOS
  • INTERESES
  • REVISTA
  • PERIÓDICO
    • CDMX
    • Quintana Roo
    • Tabasco
    • Yucatán
No Result
View All Result
Poder & Crítica
No Result
View All Result

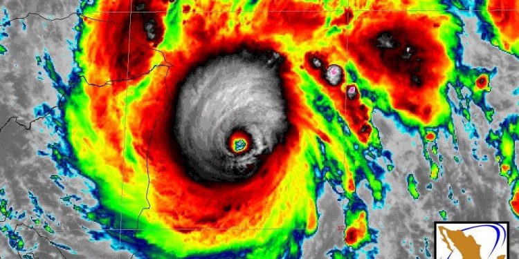
“IOTA” SE INTENSIFICA A UN DEVASTADOR HURACÁN CATEGORÍA 5

Sabitai by Sabitai
16 noviembre, 2020
in QUINTANA ROO
0
“IOTA” SE INTENSIFICA A UN DEVASTADOR HURACÁN CATEGORÍA 5

Chetumal, Q. Roo, Lunes 16 de Noviembre del 2020, poderycrítica.- La Coordinación Estatal de Protección Civil (COEPROC) confirmó que el huracán “Iota” se intensificó a categoría cinco en la escala Saffir Simpson, el último en 13 años que alcanza esta magnitud desde “Dean” en el Océano Atlántico.

Fue un avión «Cazahuracanes» el que detectó que el huracán Iota se ha convertido en un poderoso huracán de categoría 5, justo como había pronosticado Centro Nacional de Huracanes (CNH)

El fenómeno hidrometeorológico se localiza sobre el Mar Caribe, a 160 kilómetros al este-sureste de Puerto Cabezas, Nicaragua, y a 840 kilómetros al sureste de Puerto Costa Maya en el municipio de Othón P. Blanco.

Se prevé que durante esta noche de unes y madrugada del martes ingresé sobre Nicaragua, provocando condiciones atmosféricas severas en Centroamérica, principalmente en Honduras, Guatemala, Belice, El Salvador, Costa Rica, Panamá.

En el caso de México se pronostica cause condiciones climática adversas en Veracruz, Tabasco, Oaxaca y Chiapas. En tanto que para Quintana Roo por el momento no representa riesgo para las costas.

En la historia de los fenómenos naturales no se tiene conocimiento de que se haya desarrollado dos grandes huracanes en el mes de Noviembre, el primero fue Eta, siendo “Iota” el único en los últimos 13 años que ha alcanzado la categoría cinco.
En el 2007 fue “Dean”, el cual fue considerado el más intenso registrado en esta región desde “Wilma” en 2005.
Fue un huracán del tipo denominado “Cabo Verde” y se movió en sentido este-oeste a través del mar Caribe después de haber pasado sobre las Antillas Menores.

Donde dejó un saldo de tres muertos, uno en la República Dominicana, y devastaciones en México, donde dejó catorce muertos.

Tags: DESTACADASIOTA
Previous Post

MURAL DE MARÍA UICAB VISIVILIZA LUCHA DE MUJERES MAYAS DURANTE LA GUERRA DE CASTAS

Next Post

LA CFE RESTABLECE SERVICIO DE ENERGÍA ELÉCTRICA EN CHIAPAS

Next Post
LA CFE RESTABLECE SERVICIO DE ENERGÍA ELÉCTRICA EN CHIAPAS

LA CFE RESTABLECE SERVICIO DE ENERGÍA ELÉCTRICA EN CHIAPAS

Noticias Recientes

Ariadna Montiel reconoce labor de Servidores de la Nación en la Península de Yucatán

Ariadna Montiel reconoce labor de Servidores de la Nación en la Península de Yucatán

by DRC
16 abril, 2026
0

PODER Y CRÍTICA | REDACCIÓN | Durante una reunión realizada en Mérida, la secretaria de Bienestar, Ariadna Montiel Reyes, sostuvo...

FGR alista solicitud para reabrir caso contra Naasón Joaquín, líder de La Luz del Mundo, confirma Sheinbaum

by Ximena
16 abril, 2026
0

La Fiscalía General de la República, FGR, prepara una solicitud de reapertura del caso penal contra Naasón Joaquín García, líder...

Everard confirma que la revisión del T-MEC con Estados Unidos se reanuda el lunes en México y adelanta cuatro mesas clave

by Ximena
16 abril, 2026
0

Las negociaciones técnicas para la primera revisión del Tratado entre México, Estados Unidos y Canadá, T-MEC, se reanudarán el próximo...

Vecinos de Xalapa denuncian envenenamiento masivo que mató a ocho perros en la colonia Revolución

by Ximena
16 abril, 2026
0

Ocho perros murieron entre la noche del sábado 11 y la madrugada del domingo 12 de abril de 2026 tras...

Sígenos en Facebook

Archivos

  • Inicio
  • PODER & CRÍTICA TV
  • PRINCIPAL

© 2021 Powered by Blue Orange MKT - Poder & Crítica es parte de Expecta Publicidad - Todos los derechos reservados

Welcome Back!

Login to your account below

Forgotten Password?

Retrieve your password

Please enter your username or email address to reset your password.

Log In
No Result
View All Result
  • ESTADOS
    • CDMX
    • CAMPECHE
    • QUINTANA ROO
    • TABASCO
    • VERACRUZ
    • YUCATÁN
  • NACIONAL
  • INTERNACIONAL
  • POLÍTICA
  • DEPORTES
  • CULTURAL
  • ESPECTACULOS
  • INTERESES
  • REVISTA
  • PERIÓDICO
    • CDMX
    • Quintana Roo
    • Tabasco
    • Yucatán

© 2021 Powered by Blue Orange MKT - Poder & Crítica es parte de Expecta Publicidad - Todos los derechos reservados