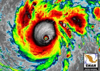
“IOTA” SE INTENSIFICA A UN DEVASTADOR HURACÁN CATEGORÍA 5
Chetumal, Q. Roo, Lunes 16 de Noviembre del 2020, poderycrítica.- La Coordinación Estatal de Protección Civil (COEPROC) confirmó que el ...
Chetumal, Q. Roo, Lunes 16 de Noviembre del 2020, poderycrítica.- La Coordinación Estatal de Protección Civil (COEPROC) confirmó que el ...
Chetumal, Q. Roo, Domingo 15 de Noviembre del 2020, poderycrítica.- Con base a la valoración y análisis de la información ...
Chetumal, Q. Roo, Sábado 14 de Noviembre de 2020, poderycrítica.- Con base a la valoración y análisis de la información ...

PODER Y CRÍTICA | REDACCIÓN | Durante una reunión realizada en Mérida, la secretaria de Bienestar, Ariadna Montiel Reyes, sostuvo...
La Fiscalía General de la República, FGR, prepara una solicitud de reapertura del caso penal contra Naasón Joaquín García, líder...
Las negociaciones técnicas para la primera revisión del Tratado entre México, Estados Unidos y Canadá, T-MEC, se reanudarán el próximo...
Ocho perros murieron entre la noche del sábado 11 y la madrugada del domingo 12 de abril de 2026 tras...
© 2021 Powered by Blue Orange MKT - Poder & Crítica es parte de Expecta Publicidad - Todos los derechos reservados
© 2021 Powered by Blue Orange MKT - Poder & Crítica es parte de Expecta Publicidad - Todos los derechos reservados