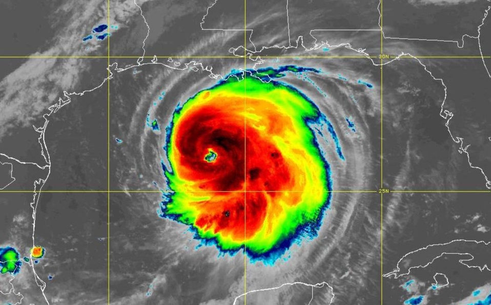
Estados Unidos, Miércoles 26 de Agosto de 2020, poderycrítica.- El panorama que se prevé con el aumento de la categoría del huracán Laura sería trágico, así lo dio a conocer el Centro Nacional de Huracanes en Estados Unidos, pues ante su inminente llegada a las costas de Texas y Louisiana, se han emitido alertas de estado de emergencia en San Luis, texas; y en Ciudad Morgan, Luisiana.
Al parecer el fenómeno meteorológico a traiga vientos sostenidos de 220 kilómetros por hora con rachas de hasta 280 kilómetros por hora. Se espera que entre a tierra con vientos de cerca de 145 mph, lo que lo ubica como categoría 4 en la escala Saffir Simpson.






