miércoles, octubre 8, 2025
  • Login
Poder & Crítica
  • ESTADOS
    • CDMX
    • CAMPECHE
    • QUINTANA ROO
    • TABASCO
    • VERACRUZ
    • YUCATÁN
  • NACIONAL
  • INTERNACIONAL
  • POLÍTICA
  • DEPORTES
  • CULTURAL
  • ESPECTACULOS
  • INTERESES
  • REVISTA
  • PERIÓDICO
    • CDMX
    • Quintana Roo
    • Tabasco
    • Yucatán
No Result
View All Result
  • ESTADOS
    • CDMX
    • CAMPECHE
    • QUINTANA ROO
    • TABASCO
    • VERACRUZ
    • YUCATÁN
  • NACIONAL
  • INTERNACIONAL
  • POLÍTICA
  • DEPORTES
  • CULTURAL
  • ESPECTACULOS
  • INTERESES
  • REVISTA
  • PERIÓDICO
    • CDMX
    • Quintana Roo
    • Tabasco
    • Yucatán
No Result
View All Result
Poder & Crítica
No Result
View All Result

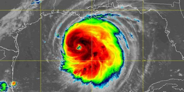
LAURA YA ES CATEGORÍA 4 LO QUE PROVOCA ESTADO DE EMERGENCIA EN ZONAS DE TEXAS Y LUISIANA

bot by bot
26 agosto, 2020
in INTERESES, INTERNACIONAL, NACIONAL
0
LAURA YA ES CATEGORÍA 4 LO QUE PROVOCA ESTADO DE EMERGENCIA EN ZONAS DE TEXAS Y LUISIANA

Estados Unidos, Miércoles 26 de Agosto de 2020, poderycrítica.- El panorama que se prevé con el aumento de la categoría del huracán Laura sería trágico, así lo dio a conocer el Centro Nacional de Huracanes en Estados Unidos, pues ante su inminente llegada a las costas de Texas y Louisiana, se han emitido alertas de estado de emergencia en San Luis, texas; y en Ciudad Morgan, Luisiana.

Al parecer el fenómeno meteorológico a traiga vientos sostenidos de 220 kilómetros por hora con rachas de hasta 280 kilómetros por hora. Se espera que entre a tierra con vientos de cerca de 145 mph, lo que lo ubica como categoría 4 en la escala Saffir Simpson.

Tags: CATEGORÍA 4DESTACADASlaura
Previous Post

ADMINISTRACIÓN DE CARLOS JOAQUÍN PROMUEVE BUENAS PRÁCTICAS AMBIENTALES EN HOTELES

Next Post

ENTREGA GOBIERNO ESTATAL 70 PATRULLAS EN EL C5 DE CANCÚN

Next Post
ENTREGA GOBIERNO ESTATAL 70 PATRULLAS EN EL C5 DE CANCÚN

ENTREGA GOBIERNO ESTATAL 70 PATRULLAS EN EL C5 DE CANCÚN

Noticias Recientes

Trump exige prisión para el alcalde de Chicago y el gobernador de Illinois por redadas migratorias

Trump exige prisión para el alcalde de Chicago y el gobernador de Illinois por redadas migratorias

by DRC
8 octubre, 2025
0

PODER Y CRÍTICA | REDACCIÓN | El presidente de Estados Unidos, Donald Trump, intensificó este miércoles sus críticas hacia las...

Congreso de Campeche impulsa reformas en educación, deporte y derechos indígenas

Congreso de Campeche impulsa reformas en educación, deporte y derechos indígenas

by DRC
8 octubre, 2025
0

PODER Y CRÍTICA | REDACCIÓN | El Congreso del Estado de Campeche dio lectura a diversas iniciativas durante su más...

Polémica en torno a Fernández Noroña por presunto uso de avión privado en gira por Coahuila

Polémica en torno a Fernández Noroña por presunto uso de avión privado en gira por Coahuila

by DRC
8 octubre, 2025
0

PODER Y CRÍTICA | REDACCION | Gerardo Fernández Noroña, senador de Morena, enfrenta nuevamente cuestionamientos tras darse a conocer que...

Promueven certeza jurídica y unión familiar con las Bodas del Renacimiento Maya

Promueven certeza jurídica y unión familiar con las Bodas del Renacimiento Maya

by DRC
8 octubre, 2025
0

PODER Y CRÍTICA | REDACCIÓN | El Gobierno del Estado, a través de la Consejería Jurídica y el Registro Civil,...

Sígenos en Facebook

Archivos

  • Inicio
  • PODER & CRÍTICA TV
  • PRINCIPAL

© 2021 Powered by Blue Orange MKT - Poder & Crítica es parte de Expecta Publicidad - Todos los derechos reservados

Welcome Back!

Login to your account below

Forgotten Password?

Retrieve your password

Please enter your username or email address to reset your password.

Log In
No Result
View All Result
  • ESTADOS
    • CDMX
    • CAMPECHE
    • QUINTANA ROO
    • TABASCO
    • VERACRUZ
    • YUCATÁN
  • NACIONAL
  • INTERNACIONAL
  • POLÍTICA
  • DEPORTES
  • CULTURAL
  • ESPECTACULOS
  • INTERESES
  • REVISTA
  • PERIÓDICO
    • CDMX
    • Quintana Roo
    • Tabasco
    • Yucatán

© 2021 Powered by Blue Orange MKT - Poder & Crítica es parte de Expecta Publicidad - Todos los derechos reservados