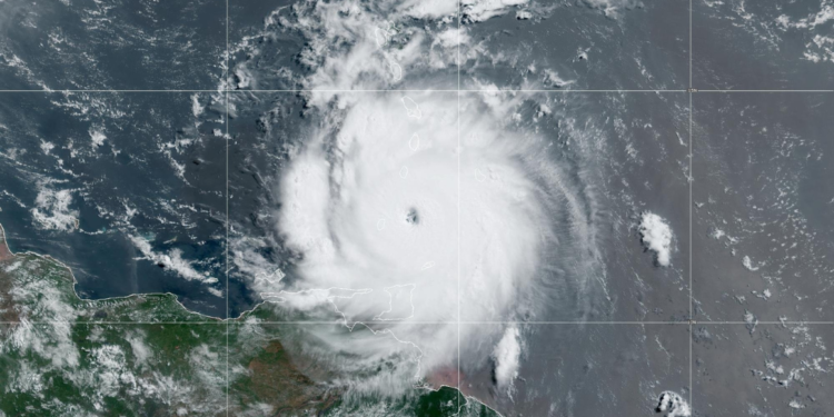
PODER Y CRÍTICA | REDACCIÓN | Las autoridades meteorológicas de Estados Unidos (EEUU) han avisado de que el huracán ‘Beryl’ acaba de tocar tierra en la isla caribeña de Carriacou. Previamente, habían informado de que el huracán se ha fortalecido hasta convertirse en uno de categoría 4 «extremadamente peligroso».
Concretamente, el huracán ha tocado tierra a las 17:10 hora española, según ha informado Centro Nacional de Huracanes de EEUU a través de ‘X’ a partir de imágenes de satélite y datos de radar. Datos de las aeronaves ‘caza huracanes’ de la Reserva del Ejército del Aire estadounidense indican que las rachas de viento máximas sostenidas por ‘Beryl’ han aumentado a 240 kilómetros por hora (km/h).
Previamente, el organismo había instado a los residentes de las Granadinas y de la isla de Carriacou a no abandonar sus refugios, ya que las rachas de viento aumentarán rápidamente con el paso del ojo de ‘Beryl’. «No se desplace mientras se desarrollan estas condiciones potencialmente mortales y no se aventure en el ojo de la tormenta», había exhortado la institución.
‘Beryl’ es el primer huracán de la temporada atlántica de 2024 y el huracán de esta envergadura más tempranero desde 1966.






