LA CFE CONTINÚA CON EL RESTABLECIMIENTO DE LA ENERGÍA EN LA PENÍNSULA DE YUCATÁN
YUCATÁN, Martes 27 de Octubre de 2020, poderycrítica.- La Comisión Federal de Electricidad informa que por instrucciones del director general, ...
YUCATÁN, Martes 27 de Octubre de 2020, poderycrítica.- La Comisión Federal de Electricidad informa que por instrucciones del director general, ...
Cancún, Q. Roo, Martes 27 de Octubre de 2020, poderycrítica.- Debido al paso del huracán “Zeta” por el territorio estatal, ...
Cancún, Q. Roo, Martes 27 de Octubre del 2020, poderycritica.- Desde el Centro de Mando instalado en el Palacio Municipal ...
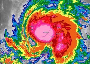
Cancún, Q. Roo, Martes 27 de Octubre del 2020, poderycritica.- Zeta se degradó a tormenta tropical esta madrugada.Alrededor de la ...
Chetumal, Q. Roo, Lunes 26 de Octubre del 2020, poderycrítica.- El huracán “Zeta” categoría impactó el territorio de Quintana Roo ...

La Fiscalía General de la República, FGR, prepara una solicitud de reapertura del caso penal contra Naasón Joaquín García, líder...
Las negociaciones técnicas para la primera revisión del Tratado entre México, Estados Unidos y Canadá, T-MEC, se reanudarán el próximo...
Ocho perros murieron entre la noche del sábado 11 y la madrugada del domingo 12 de abril de 2026 tras...
Ciudad de México. El Segundo Tribunal Colegiado en Materia Administrativa del Primer Circuito ordenó este lunes 21 de abril de...
© 2021 Powered by Blue Orange MKT - Poder & Crítica es parte de Expecta Publicidad - Todos los derechos reservados
© 2021 Powered by Blue Orange MKT - Poder & Crítica es parte de Expecta Publicidad - Todos los derechos reservados